Weißdorn-Apfel Appletini Gulliver - Malus transitoria
Weißdorn-Apfel Appletini Gulliver - Malus transitoria
Weißdorn-Apfel Appletini Gulliver - Malus transitoria
Weißdorn-Apfel Appletini Gulliver - Malus transitoria
Weißdorn-Apfel Appletini Gulliver - Malus transitoria
Weißdorn-Apfel Appletini Gulliver - Malus transitoria
Malus transitoria Appletini® (‘Gulliver’PBR)
Weißdorn-Apfel
Der Apfelbaum kam sehr gut in Form und schnell an, ich bin sehr zufrieden mit der Bestellung.
tinysparke, 14/11/2025
Verlieben Sie sich ähnliche Sorten, die auf Lager sind.
Alles ansehen →Rücknahmegarantie von 24 Monate auf diese Pflanze
Mehr
Wir garantieren die Qualität unserer Pflanzen während eines kompletten Vegetationszyklus und ersetzen auf unsere Kosten jede Pflanze, die unter normalen Klima- und Pflanzbedingungen nicht angewachsen ist.
Does this plant fit my garden?
Set up your Plantfit profile →
Beschreibung
Der Malus transitoria Appletini (synonym Gulliver) ist eine erstaunliche Sorte des Zierapfels, die nicht nur durch ihre wunderschöne rosa Frühlingsblüte begeistert, sondern auch durch ihre dekorative und köstliche Frucht. Zu all diesen Qualitäten gesellt sich eine bescheidene Entwicklung, die perfekt für kleine Räume und den Anbau in Töpfen geeignet ist. Seine essbaren und süßen kleinen Äpfel, die so groß wie ein Tischtennisball sind, werden im Herbst magenta und dann leuchtend rot. Es handelt sich um einen selbstfruchtbaren Apfelbaum, der nicht die Anwesenheit eines anderen Apfelbaums zur Fruchtbildung benötigt.
Die Zierapfelbäume stammen aus verschiedenen botanischen Arten der Gattung Malus aus der Familie der Rosengewächse. Winterhart, anpassungsfähig und leicht zu kultivieren, gedeihen Zierapfelbäume in gewöhnlicher Erde, bevorzugen aber frische, tiefe und lehmige Böden sowie sonnige Standorte. Einmal etabliert, vertragen sie es gut, vernachlässigt zu werden, behalten aber ihren großzügigen Charakter. Zahlreiche Sorten wurden in Europa und den USA entwickelt, die immer attraktiver und widerstandsfähiger gegen Krankheiten sind. 'Appletini' wurde kürzlich in Pas-de-Calais von der Baumschule JP Hennebelle gezüchtet. Diese Sorte ist vollkommen winterhart.
Der Malus transitoria Gulliver ist ein eleganter kleiner Baum mit aufrechtem und schmalem Wuchs in jungen Jahren, dessen Krone im Laufe der Jahre etwas breiter wird. Seine durchschnittlichen Abmessungen bei Reife betragen etwa 3 m Höhe und 1,50 m Breite. Er behält eine harmonische Form, ohne dass er beschnitten werden muss, und entwickelt eine Rinde von dunkelrotbrauner Farbe, die von glatter Textur ist.
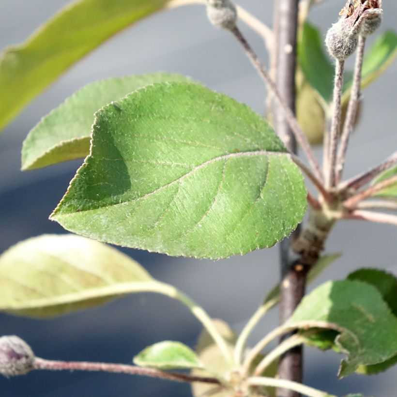
Die reiche Blüte findet im April oder Mai je nach Region statt, an nackten Zweigen oder kaum von jungen Blättern bedeckt. Sie erscheint in Form vieler Knospen in intensivem Fuchsia. Sie öffnen sich schnell zu einfachen Blüten mit einem Durchmesser von 4 cm, in Schattierungen von leuchtendem Rosa bis blassrosa oder weißrosa. Nach der Blütezeit, die von Bienen besucht wird, bilden sich viele kleine essbare Äpfel mit einem Durchmesser von 3 bis 4 cm. Sie werden im September-Oktober reif und sind magenta und dann leuchtend rot mit einem blassen gelben Fruchtfleisch. Sie bleiben relativ lange an den Zweigen, wenn sie nicht von Vögeln gefressen werden. Sie können sie roh essen oder zu Kompott oder im Ofen zubereiten. Das laub, laubabwerfend, wird im Herbst gelb und fällt ab. Es besteht aus ovalen, abwechselnden und gezähnten Blättern.
Der Malus 'Appletini' findet seinen Platz in jedem Garten, auch in den kleinsten, sowie auf einer Terrasse. Seine Blüte ist reichhaltig, aber möglicherweise nicht so langlebig wie die eines Blütenkirschenbaums, wird jedoch durch die Schönheit der Früchte verlängert. Sie können ihn problemlos mit anderen Obstbäumen für kleine Gärten kombinieren. Er passt auch gut zu Strauch- oder Buschrosen, Flieder oder Deutzien. Wenn genügend Platz vorhanden ist, können Zierapfelbäume in einer großen Hecke an einem Hang entlang einer niedrigen Allee gepflanzt werden und im Frühling, aber auch im Herbst mit ihren oft prächtigen Farben ein recht märchenhaftes Bild abgeben.
{$dispatch("open-modal-content", "#customer-report");}, text: "Please login to report the error." })' class="flex justify-end items-center gap-1 mt-8 mb-12 text-sm cursor-pointer" > Melden Sie einen Fehler in der Produktbeschreibung
Weißdorn-Apfel Appletini Gulliver - Malus transitoria in Bildern...
Wuchs
Blüte
Laub
Botanik
Malus
transitoria
Appletini® (‘Gulliver’PBR)
Rosaceae
Weißdorn-Apfel
Gartenbau
Sonstige Zierapfel (Malus)
Alles ansehen →Pflanzung & Pflege
Der Malus 'Appletini' ist einfach zu kultivieren und gedeiht gut in gewöhnlichem, aber tiefem Boden. Zieräpfel sind im Allgemeinen sehr anpassungsfähig, aber sie bevorzugen fruchtbaren, lockeren, frischen und tiefen Boden. Nach einer sorgfältigen Pflanzung und regelmäßigem Gießen in den ersten beiden Jahren kommen sie alleine zurecht. Pflanzen Sie ihn an einem sonnigen oder halbschattigen Standort in feuchtem, ziemlich nährstoffreichem, aber gut durchlässigem Boden und lassen Sie ihm genügend Platz zum Ausbreiten. Graben Sie ein großes Pflanzloch. Wenn der Boden arm ist, fügen Sie der Pflanzerde Kompost hinzu und düngen Sie ihn jedes Frühjahr. Um Krankheiten vorzubeugen, behandeln Sie ihn im Frühjahr mit Bordeauxbrühe.
Wann soll ich pflanzen?
Für welchen Ort?
Pflege
-
, denGeprüfter Kauf
Antwort von den Promesse de fleurs
Haben Sie nicht das Passende gefunden?
Winterhärte ist die niedrigste Wintertemperatur, die eine Pflanze aushalten kann, ohne ernsthafte Schäden zu erleiden oder gar abzusterben. Diese Winterhärte wird jedoch durch den Standort (geschützter Bereich, z. B. eine Terrasse), Schutzmaßnahmen (Wintervlies) und die Art des Bodens (die Winterhärte wird durch einen gut durchlässigen Boden verbessert) beeinflusst.
Allgemeine Nutzungsbedingungen für den Service "Kundenfotos"
Um die Interaktion und den Erfahrungsaustausch zwischen Gärtnern zu fördern, bietet Promesse de fleurs verschiedene Dienste an, die das Einstellen von Inhalten auf der Website ermöglichen - insbesondere über das Modul "Fotos teilen".
Dem Nutzer ist es untersagt:
-
Inhalte zu veröffentlichen, die illegal, schädlich, beleidigend, rassistisch, hasserregend, revisionistisch, sittenwidrig sind, die Privatsphäre verletzen oder die Schutzrechte Dritter verletzen, insbesondere das Recht auf das Bild von Personen und Gütern, das Recht auf geistiges Eigentum oder das Recht auf Achtung des Privatlebens
- Inhalte im Namen eines Dritten einzureichen.
- Die Identität eines Dritten zu missbrauchen und/oder persönliche Informationen eines Dritten zu veröffentlichen.
Generell verpflichtet sich der Nutzer, von jeglichem unethischen Verhalten Abstand zu nehmen.
Alle Inhalte (insbesondere Texte, Kommentare, Dateien, Bilder, Fotos, Videos, Werke usw.), die möglicherweise Eigentumsrechten, geistigem Eigentum, Bildrechten oder anderen Privatrechten unterliegen, bleiben Eigentum des Nutzers, vorbehaltlich der eingeschränkten Rechte, die durch die unten definierte Lizenz an Promesse de fleurs gewährt werden. Den Nutzern steht es frei, solche Inhalte auf der Website zu veröffentlichen oder nicht, insbesondere über den Dienst "Fotos teilen", und sie akzeptieren, dass diese Inhalte öffentlich und frei zugänglich werden, insbesondere im Internet.
Sie erkennen an, verpflichten sich und garantieren, dass sie über alle Rechte und Genehmigungen verfügen, die für eine solche Veröffentlichung auf der Website erforderlich sind, insbesondere im Rahmen der geltenden Gesetzgebung und der Rechte auf Privatsphäre, Eigentum, geistiges Eigentum, Bild, Verträge oder jeder anderen Art. Durch eine solche Veröffentlichung auf der Website sind sich die Nutzer bewusst, dass sie als Herausgeber der Inhalte im Sinne des Gesetzes haften, und gewähren Promesse de fleurs für die Dauer der Veröffentlichung eine nicht exklusive, gebührenfreie, weltweite Lizenz für die Inhalte, einschließlich des Rechts auf Vervielfältigung, Darstellung, Hochladen, Anzeige, Ausführung, Übertragung und Speicherung.
Die Nutzer erlauben außerdem, dass ihr Name mit den Inhalten in Verbindung gebracht werden kann und akzeptieren, dass diese Verbindung nicht immer hergestellt wird.
Durch ihre Veröffentlichung gestatten die Nutzerinnen und Nutzer, dass ein Inhalt automatisch im Internet zugänglich wird, insbesondere auf anderen Websites und/oder Blogs und/oder Webseiten der Website von Promesse de fleurs, einschließlich insbesondere der Seiten in sozialen Netzwerken und des Katalogs von Promesse de fleurs.
Die Nutzer/innen können frei entscheiden, ob sie die ihnen anvertrauten Inhalte zurückgeben möchten, indem sie den Kundenservice über das Kontaktformular kontaktieren.
Die auf unserer Website angegebenen Aussaatzeiten gelten für Länder und Regionen innerhalb der USDA Zone 8 (Frankreich, Großbritannien, Irland, Niederlande).
In kälteren Gebieten (Skandinavien, Polen, Österreich...) sollten Sie die Aussaat im Freien um 3-4 Wochen später vornehmen oder unter Glas säen.
In wärmeren Gegenden (Italien, Spanien, Griechenland usw.) die Aussaat im Freien um einige Wochen vorverlegen.
Die auf unserer Website angegebene Blütezeit gilt für Länder und Regionen, die in der USDA-Zone 8 liegen (Frankreich, Großbritannien, Irland, Niederlande usw.).
Sie variiert je nach Wohnort:
- In den Zonen 9 bis 10 (Italien, Spanien, Griechenland usw.) findet die Blüte etwa 2 bis 4 Wochen früher statt.
- In den Zonen 6 bis 7 (Deutschland, Polen, Slowenien und untere Bergregionen) wird sich die Blüte um 2 bis 3 Wochen verzögern.
- In Zone 5 (Mitteleuropa, Skandinavien) verzögert sich die Blüte um 3 bis 5 Wochen.
Der auf unserer Website angegebene Pflanzzeitraum gilt für Länder und Regionen in der USDA-Zone 8 (Frankreich, Vereinigtes Königreich, Irland, Niederlande).
Sie ist je nach Ihrem Wohnort unterschiedlich:
- In den Mittelmeerländern (Marseille, Madrid, Mailand usw.) sind Herbst und Winter die besten Pflanzzeiten.
- In den kontinentalen Zonen (Straßburg, München, Wien usw.) sollte die Pflanzung im Frühjahr auf 2 bis 3 Wochen später verschoben und im Herbst um 2 bis 4 Wochen vorgezogen werden.
- In Gebirgsregionen (Alpen, Pyrenäen, Karpaten usw.) ist es am besten, im späten Frühjahr (Mai-Juni) oder im Spätsommer (August-September) zu pflanzen.
Die auf unserer Website angegebene Erntezeit gilt für Länder und Regionen der USDA-Zone 8 (Frankreich, England, Irland, Niederlande).
In kälteren Gebieten (Skandinavien, Polen, Österreich...) wird sich die Obst- und Gemüseernte wahrscheinlich um 3-4 Wochen verzögern.
In wärmeren Gebieten (Italien, Spanien, Griechenland usw.) wird die Ernte je nach den Witterungsbedingungen wahrscheinlich früher stattfinden.
In gemäßigten Klimazonen sollte der Schnitt von frühjahrsblühenden Sträuchern (Forsythien, Spireen usw.) unmittelbar nach der Blüte erfolgen.
Der Rückschnitt von sommerblühenden Sträuchern (Flieder, Perowskia usw.) kann im Winter oder im Frühjahr erfolgen.
In kalten Regionen sowie bei frostempfindlichen Pflanzen sollte ein zu früher Schnitt vermieden werden, wenn Sie noch mit strengen Frösten rechnen müssen.